一、建设项目名称
石膏渣库建设项目
二、建设单位
鑫联环保科技股份有限公司
三、建设地点
鸡街镇泗水庄鑫联环保科技厂房内
四、申报类别
建设工程规划许可证
五、主要技术经济指标 (相邻两块地综合计算指标)
用地面积:10769.46㎡(约16.15亩)
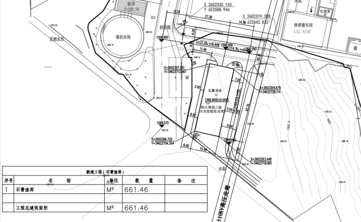
建筑面积:661.46㎡
容积率:0.803
建筑系数:60.61%
绿地率:10.98%
六、区位图

七、平面图:

八、实景效果图
依据《中华人民共和国城乡规划法》、《中华人民共和国行政许可法》等有关法律法规,特此公示,公示日期2023年11月13日---2023年11月21日。如有意见和建议,请于公示时间内向个旧市自然资源局反馈,咨询电话:2115015 。
经办单位:个旧市自然资源局
经办人:龙颖
公示期间群众、单位建议和意见电话:2115015
个旧市自然资源局
2023年11月13日